City of Hillsboro

Emergency Messages as of 4:18 AM, Sun. Dec 14

No information currently posted.

Subscribe to receive FlashAlert messages from City of Hillsboro.

News Release

Boil Water Notice Issued For Sections Of Hillsboro's Jackson School Neighborhood (Photo) - 09/17/21

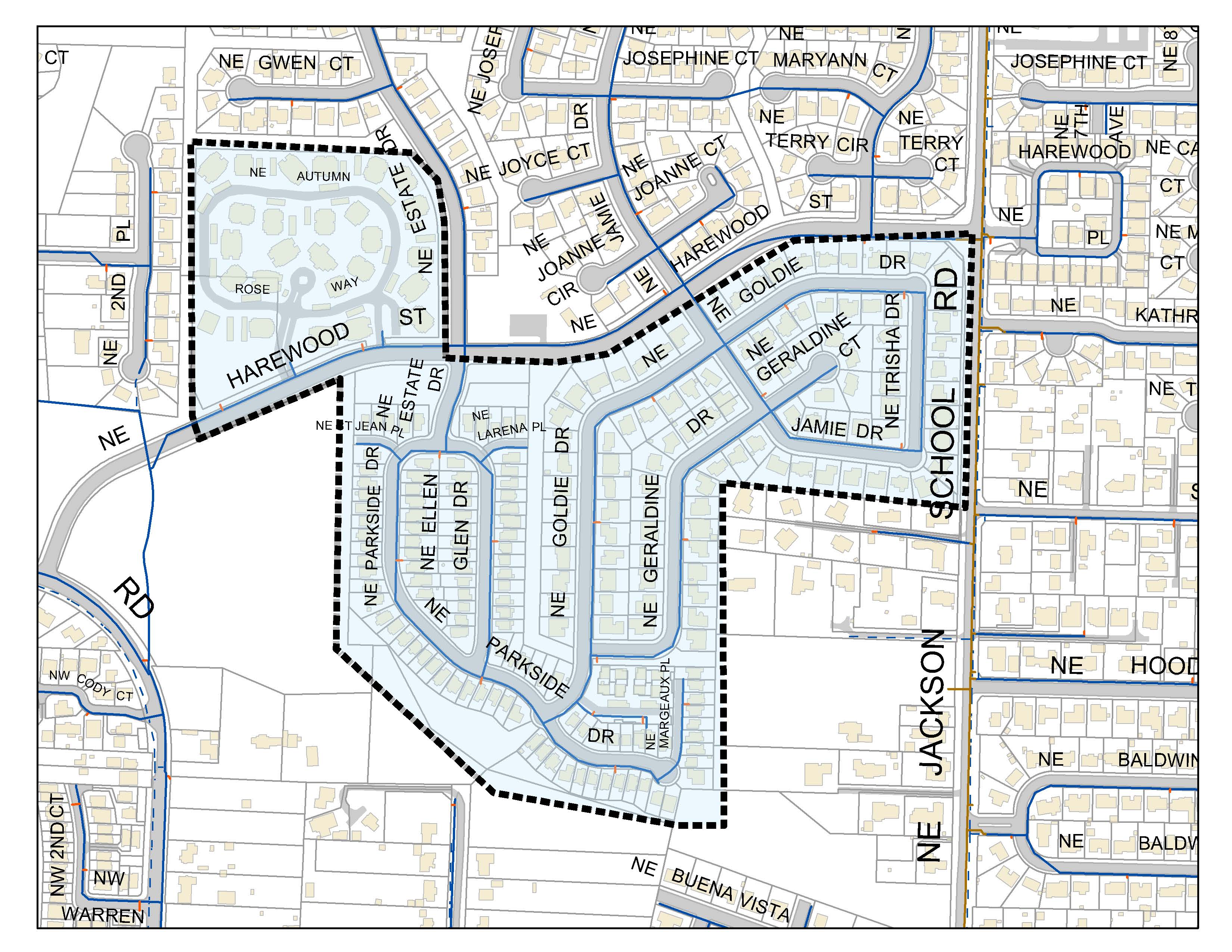
Hillsboro, OR – This morning, an emergency water leak repair on NE Harewood Street caused a loss of pressure in water pipelines serving customers in the Jackson School neighborhood in Hillsboro.

The State of Oregon Health Authority’s Drinking Water Program has required the City of Hillsboro Water Department to issue a Boil Water Notice for affected customers.

Until further notice, Hillsboro Water Department customers in the following areas (shown on the attached map in blue) of the Jackson School neighborhood should boil all tap water used for drinking, food preparation, tooth brushing, and ice for at least one minute:

  • South of NE Harewood Place
  • West of NE Jackson School Road
  • East of NW Glencoe Road

As a precaution, if you lost water or reduced pressure in or near this area, boil your water.

Detailed maps, fact sheets, and additional information can be found on the Hillsboro Water’s website at Hillsboro-Oregon.gov/WaterAlert or by calling Customer Service at 503-615-6702.

“While the potential health risk is relatively small, we are taking every precaution to protect public health,” said Hillsboro Water Department Director Niki Iverson.

Consuming boiled and bottled water will ensure public health protection until Hillsboro Water can determine that the water system is clean of contamination through sampling. Affected customers will be notified when they no longer have to boil their water.

Hillsboro Water staff are currently flushing in the affected area and completing repair on the water leak. Samples will be taken to confirm the repair was successful and water is safe to drink. Water testing results are expected in about 24 hours.

Hillsboro Water is working with the Washington County Health Department to provide health-related information to the public.

Customers can visit Hillsboro-Oregon.gov/WaterAlert to determine if their home is in the Boil Water Notice area. The Boil Water Notice, fact sheets and contact information are provided on this same website. For more information, affected customers should contact Hillsboro Water’s Customer Service at 503-615-6702.

Do not call 9-1-1 unless you have an emergency. Follow updates on Hillsboro Water’s Twitter at Twitter.com/HillsboroWater or online at Hillsboro-Oregon.gov/WaterAlert.

 

About the City of Hillsboro Water Department

The City of Hillsboro, through its Utilities Commission, owns and operates a municipal drinking water system that serves more than 88,000 City residents. Its delivery of clean, reliable water protects public health, enables emergency fire protection, and supports the City’s economic vitality. Learn more at Hillsboro-Oregon.gov/Water.

Attached Media Files: ,

Boil Water Notice Issued For Sections Of Hillsboro's Jackson School Neighborhood (Photo) - 09/17/21

Hillsboro, OR – This morning, an emergency water leak repair on NE Harewood Street caused a loss of pressure in water pipelines serving customers in the Jackson School neighborhood in Hillsboro.

The State of Oregon Health Authority’s Drinking Water Program has required the City of Hillsboro Water Department to issue a Boil Water Notice for affected customers.

Until further notice, Hillsboro Water Department customers in the following areas (shown on the attached map in blue) of the Jackson School neighborhood should boil all tap water used for drinking, food preparation, tooth brushing, and ice for at least one minute:

  • South of NE Harewood Place
  • West of NE Jackson School Road
  • East of NW Glencoe Road

As a precaution, if you lost water or reduced pressure in or near this area, boil your water.

Detailed maps, fact sheets, and additional information can be found on the Hillsboro Water’s website at Hillsboro-Oregon.gov/WaterAlert or by calling Customer Service at 503-615-6702.

“While the potential health risk is relatively small, we are taking every precaution to protect public health,” said Hillsboro Water Department Director Niki Iverson.

Consuming boiled and bottled water will ensure public health protection until Hillsboro Water can determine that the water system is clean of contamination through sampling. Affected customers will be notified when they no longer have to boil their water.

Hillsboro Water staff are currently flushing in the affected area and completing repair on the water leak. Samples will be taken to confirm the repair was successful and water is safe to drink. Water testing results are expected in about 24 hours.

Hillsboro Water is working with the Washington County Health Department to provide health-related information to the public.

Customers can visit Hillsboro-Oregon.gov/WaterAlert to determine if their home is in the Boil Water Notice area. The Boil Water Notice, fact sheets and contact information are provided on this same website. For more information, affected customers should contact Hillsboro Water’s Customer Service at 503-615-6702.

Do not call 9-1-1 unless you have an emergency. Follow updates on Hillsboro Water’s Twitter at Twitter.com/HillsboroWater or online at Hillsboro-Oregon.gov/WaterAlert.

 

About the City of Hillsboro Water Department

The City of Hillsboro, through its Utilities Commission, owns and operates a municipal drinking water system that serves more than 88,000 City residents. Its delivery of clean, reliable water protects public health, enables emergency fire protection, and supports the City’s economic vitality. Learn more at Hillsboro-Oregon.gov/Water.

Attached Media Files: ,